58-69 59th Street Maspeth Queens, NY 11378
50 x 107 R5B/C2-3 Zoning Asking $1,700,000
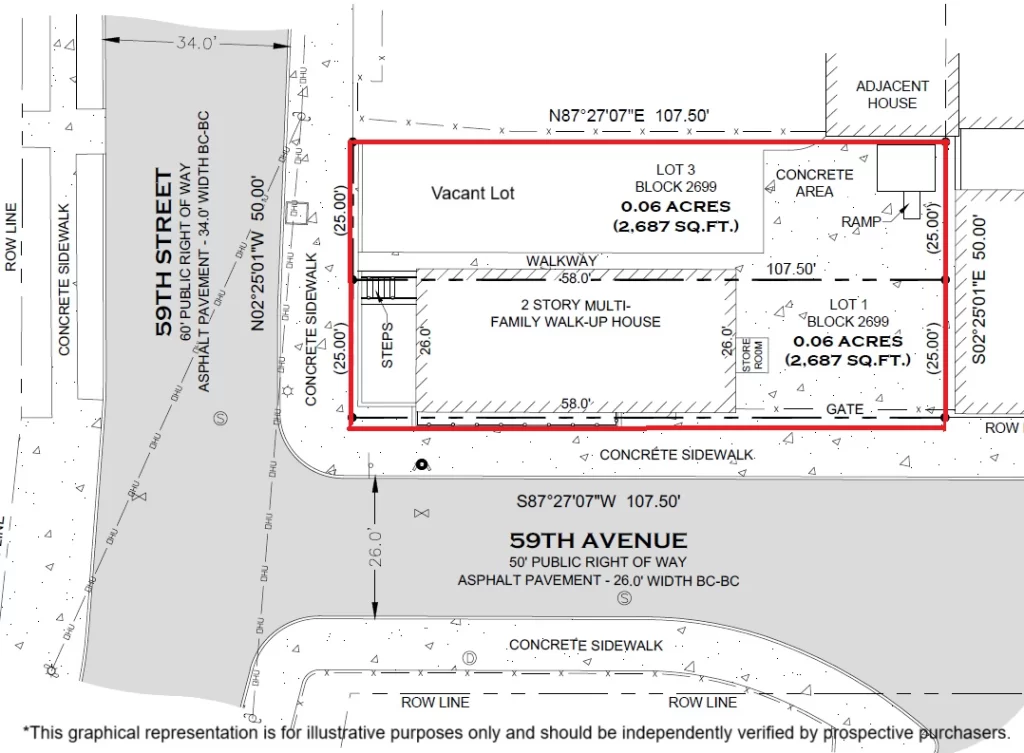
Rare opportunity! Double Corner Lot in Maspeth Queens (zoned R5B/C2-3) with a lot totaling 50 ft x 107 ft (5,350 sqft total). The package consists of a 3-family brick home with a size of approximately 3,400 sqft plus back yard for parking and adjoined by a vacant lot. There is frontage on 59th Street and 59th avenue. Each lot measures 25 ft x 107 ft.
With R5B Zoning, appx 8,000 sqft can be built. C2-3 zoning is a commercial overlay allowing for a wide variety of commercial use groups. Under the recent City of Yes zoning updates, the combined lots may qualify as a QRS (Qualifying Residential Site) due to its corner position on the short end of the block, allowing an enhanced 2.0 FAR and approx. 10,700–10,750 buildable sq ft if the house is taken down and a new building built. Excellent opportunity for a boutique mixed-use building with ground-floor commercial and multiple residential units above.
The 3 family home measures appx. 25 ft x 55 ft across two floors and the third floor 25 ft x 24 ft. Newly renovated second floor apartment.
This valuable property is the perfect opportunity for residential or mixed use development.
*Information regarding development potential is provided for general guidance only. All building possibilities, zoning details, and permitted uses should be independently verified by the buyer with the appropriate city agencies and professionals. Neither the seller nor the listing broker guarantees or warrants any specific development outcome or approval.
Ready to See This Property?
Call 718-333-5233 or email us
